Skip to main content
city of San Antonio


Some of our meetings have moved. View additional meetings.

File #: 17-4256   
Type: Zoning Case
In control: Zoning Commission
On agenda: 8/1/2017
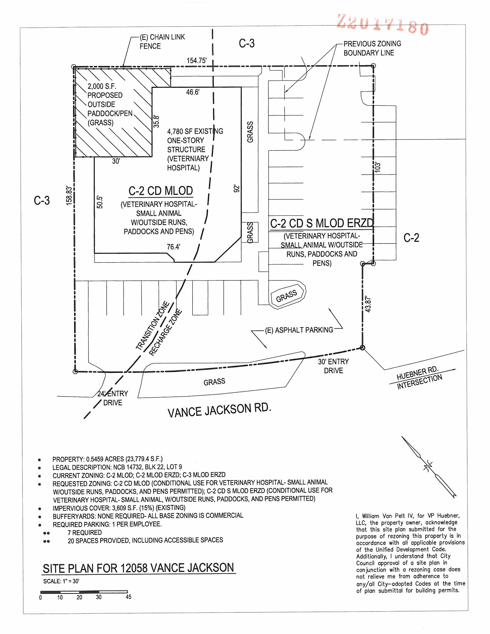
Posting Language: ZONING CASE # Z2017180 CD S ERZD (Council District 8): A request for a change in zoning from “C-2 S CC ERZD MLOD-1” Commercial with a Specific Use Permit and Special City Council Approval for a Small Animal Clinic with Overnight Boarding Military Lighting Overlay Edwards Recharge Zone District to “C-2 CD MLOD-1” Commercial Military Lighting Overlay District with Conditional Use for a Veterinary Hospital to include Outdoor runs, Paddocks, and Pens, and "C-2 CD S MLOD-1 ERZD" Commercial Camp Bullis Military Lighting Overlay Edwards Recharge Zone District with Conditional Use and Specific Use Authorization for a Veterinary Hospital to include Outdoor Runs, Paddocks, and Pens on Lot 9, Block 22, NCB 14732; located at 12058 Vance Jackson Road. Staff recommends Approval.
Attachments: 1. Location Map, 2. Site Plan, 3. SAWS Report
Date Ver.Action ByActionResultAction DetailsMeeting DetailsVideo
No records to display.
DEPARTMENT: Development Services

DEPARTMENT HEAD: Michael Shannon

COUNCIL DISTRICTS IMPACTED: 8

SUBJECT:
Zoning Case Z2017180 CD S ERZD

SUMMARY:
Current Zoning: "C-2 S CC ERZD MLOD-1" Commercial with a Specific Use Permit and Special City Council Approval for a Small Animal Clinic with Overnight Boarding Military Lighting Overlay Edwards Recharge Zone District

Requested Zoning: "C-2 CD MLOD-1" Commercial Camp Bullis Military Lighting Overlay District with Conditional Use for a Veterinary Hospital to include Outdoor Runs, Paddocks, and Pens, and "C-2 CD S MLOD-1 ERZD" Commercial Camp Bullis Military Lighting Overlay Edwards Recharge Zone District with Conditional Use and Specific Use Authorization for a Veterinary Hospital to include Outdoor Runs, Paddocks, and Pens

BACKGROUND INFORMATION:
Zoning Commission Hearing Date: August 1, 2017

Case Manager: Angela Cardona, Planner

Property Owner: VP Huebner, LLC (c/o Chad Muir) and William Van Pelt

Applicant: VP Huebner, LLC (c/o Chad Muir) and William Van Pelt

Representative: Brown & Ortiz, PC

Location: 12058 Vance Jackson Road

Legal Description: Lot 9, Block 22, NCB 14732

Total Acreage: 0.5459 acres

Notices Mailed
Owners of Property within 200 feet: 10
Registered Neighborhood Associations within 200 feet: None
Applicable Agencies: None

Property Details
Property History: The subject property was annexed on September 24, 1964 (Ordinance 32614). The property was zoned "B-2 ERZD" Business Edwards Recharge Zone District and was zoned to "B-2 SUP CC ERZD" Business Edwards Recharge Zone District with a Special Use Permit and Special City Council Approval for a Small Animal Clinic with Overnight Boarding on November 30, 2000 (Ordinance 92988) which was later converted to "C2-S CC ERZD" upon adoption of the Unified Development Code on May 3, 2001 (ordinance 93881).

Topography: A portion of the subject property, 0.361 acres lies within the Edwards Aquifer Recharge Zone.

Adjacent Base Zoning a...

Click here for full text